s/v
Pachina Mia
SOLD
Rafiki 37
Menu ☰
Home
Boat specs
Layout & Upgrades
Images
Contact
Photos & video
<-- Back
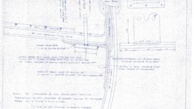
Official blueprints (print & higher digital resolution available)